Sélection de vignes de table résistantes au mildiou et à l’odium, choisies pour leur robustesse et leur excellente qualité gustative. Des variétés adaptées aux jardins de France, pour des récoltes fiables et savoureuses.
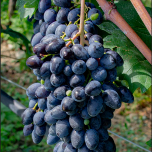
Nos vignes de table sont sélectionnées pour leur résistance naturelle au mildiou et à l’odium, deux maladies courantes de la vigne. Ces variétés, issues de programmes de sélection récents ou éprouvés, offrent l’un des meilleurs compromis entre robustesse, facilité de culture et qualité de fruits.
Même si aucune vigne n’est totalement immunisée, les variétés que nous proposons nécessitent beaucoup moins d’interventions que les cépages traditionnels. Elles sont adaptées aux jardins familiaux, aux vergers diversifiés et aux régions où la pression des maladies peut être importante.
Nous privilégions des vignes produisant des raisins savoureux, croquants ou fondants selon les variétés, avec une belle productivité. Qu’il s’agisse de raisins blancs, noirs ou rosés, chaque sélection a été retenue pour sa capacité à offrir une récolte fiable et agréable à déguster, tout en restant accessible à cultiver pour les jardiniers débutants comme confirmés.
Ces vignes de table sont idéales pour pergolas, treilles, clôtures ou culture en verger familial, et représentent un excellent choix pour qui souhaite combiner facilité d’entretien et plaisir gustatif.
